桐生市境野7丁目

250万円

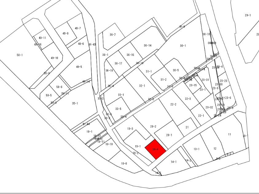
群馬県桐生市境野町7丁目19-4

両毛線「小俣」駅徒歩13分

価格
250万円
土地面積(坪数)
145.65㎡(44.05坪)
所在地
群馬県桐生市境野町7丁目19-4
築年
-(-)
駐車
-
交通

両毛線小俣」駅 徒歩13分

桐生市境野7丁目の基本情報

物件名
桐生市境野7丁目
価格
250万円
土地面積
145.65㎡
築年月
-(-)
総区画数
-
所在地
群馬県桐生市境野町7丁目19-4
交通

両毛線小俣」駅 徒歩13分

桐生市境野7丁目の詳細情報

設備条件
設備(その他)
    -
駐車場/月額
-/-
土地権利
所有権
国土法届出
不要
用途地域
準工業
区画数
- / -
管理形態
-
管理員の勤務形態
-
管理会社
-
取引態様
専任媒介
引渡し
相談
開発許可番号
-
備考
桐生市境野7丁目:両毛線小俣駅にも近くて便利。徒歩16分の距離に桐生市立境野中学校があるのも魅力。こちらの土地面積は145.65㎡でございます。日当たりを重視している方に適した南側道路になります。桐生市で土地購入を検討中なら、当社の0120-944-554、またはmiiichion@gmail.comまでお問い合わせ下さい。

桐生市境野7丁目のコメント(おすすめポイント)

徒歩16分の距離に桐生市立境野中学校があるのも魅力。日当たりを重視している方に適した南側道路になります。売地をお探しの方におすすめの土地です。駅まで徒歩13分でアクセス可能です。両毛線小俣周辺で土地をお探しなら、miiichion@gmail.comからたまにはにまでご連絡くださいませ。

桐生市境野7丁目で募集中の物件

  1. 44.05坪 (145.65㎡)

    250万円(5.68万円/坪)

近隣の物件

  1. 桐生市梅田町1丁目

    - (283.36㎡)

    610万円

  2. 桐生市相生町3丁目

    - (1419.00㎡)

    2,570万円

  3. 桐生市堤町1丁目

    - (1670.00㎡)

    2,100万円

  4. 桐生市菱町1丁目

    - (235.59㎡)

    480万円

よく見られている物件

  1. 桐生市仲町3丁目

    - (229.37㎡)

    100万円

  2. 足利市伊勢町4丁目

    - (149.57㎡)

    450万円

  3. 足利市大沼田町

    - (249.74㎡)

    600万円

  4. 足利市川崎町

    - (648.00㎡)

    290万円

桐生市境野7丁目

お気軽にお問い合わせください

LINEからお問い合わせ 無料お問い合わせ

株式会社たまには

0120-944-554

9:00~18:00

(休:毎週水曜日)